| 安吉白茶正式进入开采倒计时! 2018年3月11日 天气:晴 气温2-22度 今天是星期日,本想好好休息一下,结果还不到中午就有微友在呼我说“今天你的安吉白茶生长记实还没有发,什么时候发呀?”
天天发,有时我个人都觉得有点烦了,但微友乐此不疲,谁让他们是我的粉丝呢....
茶园脚下有二间小屋,门口就是入园的小路,还有一水潭,山涧溪水清澈见底。与林伯伯闲聊了二句,如果这里养几条鱼,我想这鱼肉味道肯定不错,与安吉白茶一样入口鲜爽甘甜。
入园时有一块安吉黄金芽茶园,面积不大,芽头明显比我前天拍的安吉白茶新芽要粗大一些。
这块安吉白茶园长势不错,比去年要好。
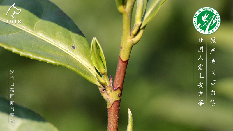
上面二张是山脚茶园里的新芽
半山腰的茶园里我找到一株茶芽小半个叶子已经张开了,看样子茶季确实是越来越进了。
山顶去年上去过,今天实在是懒的不想动,就不去了。
2018年3月11日安吉白茶园
这张是我2017年在同一个位置拍摄的照片,这里的茶芽不错,色泽鲜黄明亮,颗颗饱满壮实
2017年3月30日安吉白茶新芽
我在安吉,我是安吉白茶小李 |










广告
广告